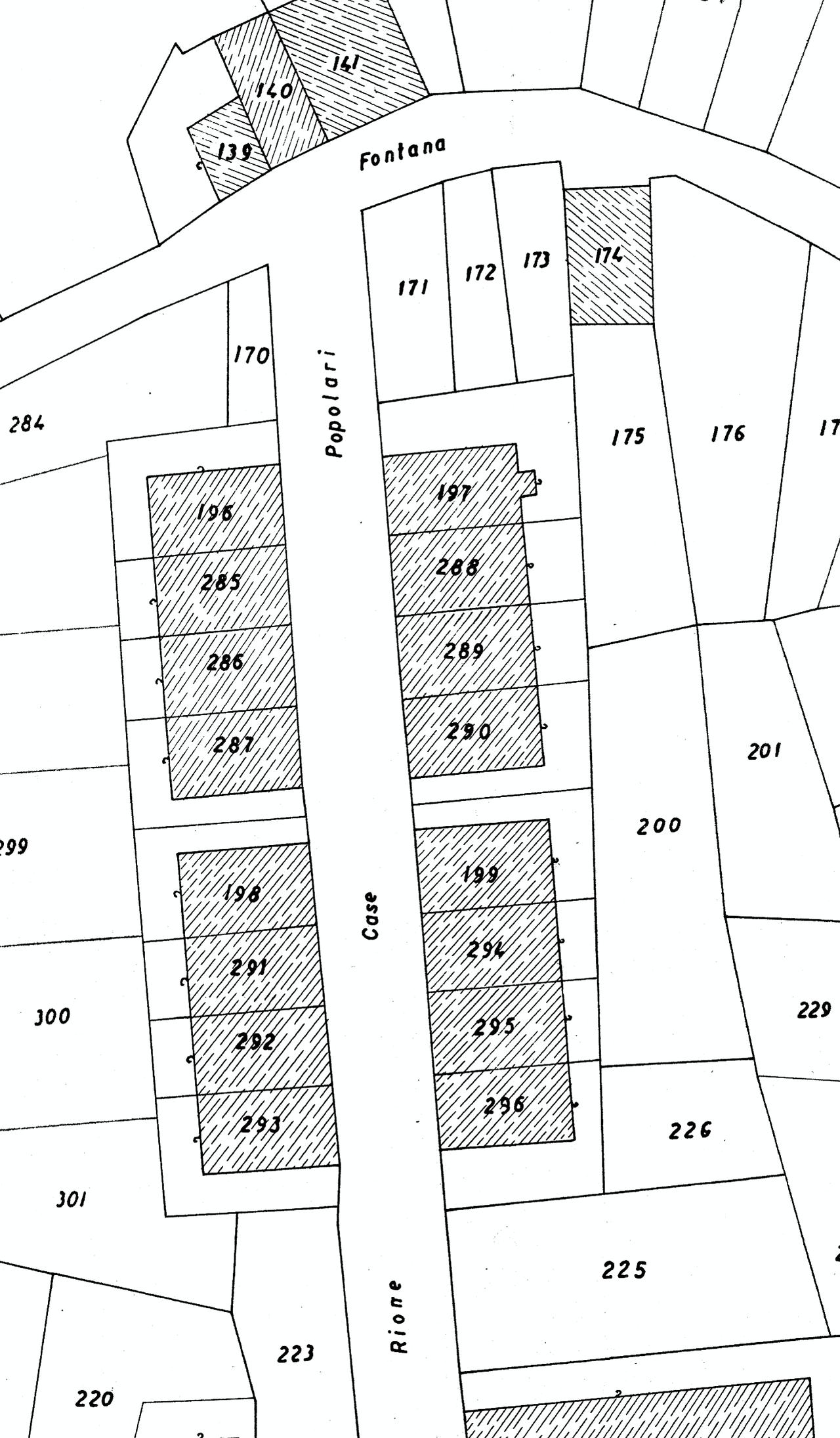
Rione Case INA - CASA
Castel Del Giudice,
1945/09/02 post - 1949/02/28 ante
Il complesso edilizio, adattandosi all'andamento del terreno con dislivello, è costituito da quattro schiere, ognuna delle quali ha quattro unità abitative che si sviluppano su due livelli di piani, per un totale di n. 16 abitazioni. La struttura portante è in muratura di pietra a corsi regolari; i solai sono piani in latero-cemento. La copertura è a tetto a due falde, a colmi differenziati, con struttura a soletta e manto con tegole marsigliesi. Lo schema compositivo prospettico è unico, ripetuto per ogni unità abitativa: accesso al centro, affiancato da due finestre poste simmetricamente, sormontate da altrettante finestre. Tutte le aperture sono sottolineate da cornici in mattoni posti di piatto (stipiti) e di taglio (architravi)
- OGGETTO case-a schiera
- AMBITO CULTURALE Maestranze Novecentesche
- LOCALIZZAZIONE Castel Del Giudice (IS) - Molise , ITALIA
- INDIRIZZO Via Rione Case Popolari da 1 a 17 da 2 a 18, Castel Del Giudice (IS)
- TIPOLOGIA SCHEDA Architettura
-
CONDIZIONE GIURIDICA
proprietà privata
- CODICE DI CATALOGO NAZIONALE 1400075762
- ENTE COMPETENTE PER LA TUTELA Soprintendenza per i Beni Architettonici e Paesaggistici del Molise
- ENTE SCHEDATORE Soprintendenza per i Beni Architettonici e Paesaggistici del Molise
- DATA DI COMPILAZIONE 2013
-
DOCUMENTAZIONE GRAFICA
planimetria catastale (1)
- LICENZA METADATI CC-BY 4.0