PALAZZO LOMBARDI
Siena,
fine XIII - inizio-XIV
edificio che si sviluppa cinque piani fuori terra di cui un mezzanino; strutture portanti in laterizio e calcare carvernoso
- OGGETTO palazzo-nobiliare
- AMBITO CULTURALE Gotico Senese Rinascimento Neo-gotico
- LOCALIZZAZIONE Siena (SI) - Toscana , ITALIA
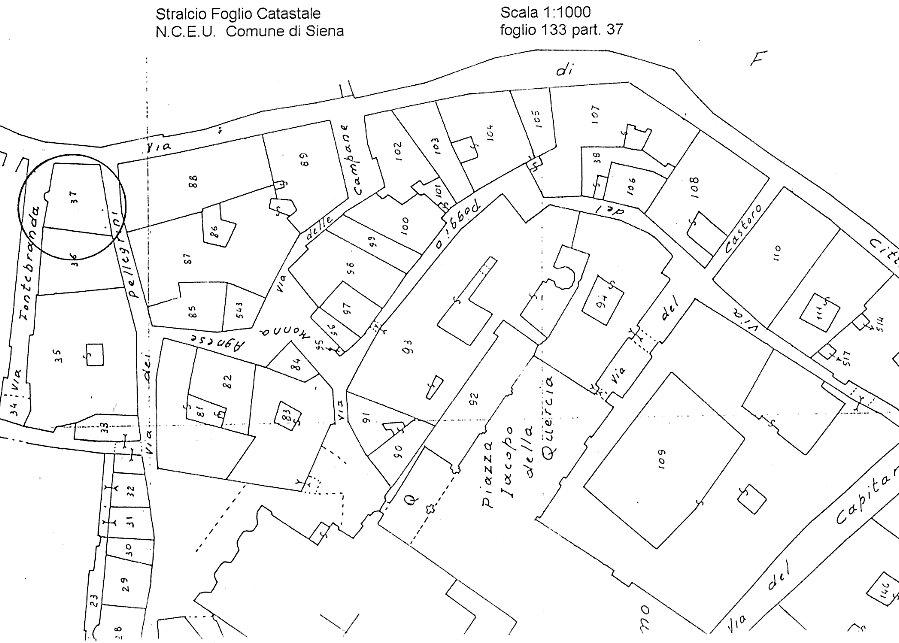
- INDIRIZZO via di Città, 40/42/44/46, Siena (SI)
- TIPOLOGIA SCHEDA Architettura
-
CONDIZIONE GIURIDICA
proprietà privata
- CODICE DI CATALOGO NAZIONALE 0900403283
- ENTE COMPETENTE PER LA TUTELA Soprintendenza Archeologia, belle arti e paesaggio per le province di Siena, Grosseto e Arezzo
- ENTE SCHEDATORE Soprintendenza per i Beni Architettonici e Paesaggistici per le province di Siena e Grosseto
- DATA DI COMPILAZIONE 1995
-
DATA DI AGGIORNAMENTO
2013
-
DOCUMENTAZIONE GRAFICA
mappa catastale (1)
- LICENZA METADATI CC-BY 4.0