Casa De Dominicis-Rossi - porzione (Borgo Fortificato)
Vastogirardi,
post IX - ante fine-XVII
Nell'immobile, che ha inglobato anche la precedente part. 52, tre unità abitative
- OGGETTO casa-a schiera, plurifamiliare
- AMBITO CULTURALE Maestranze Seicentesche
- LOCALIZZAZIONE Vastogirardi (IS) - Molise , ITALIA
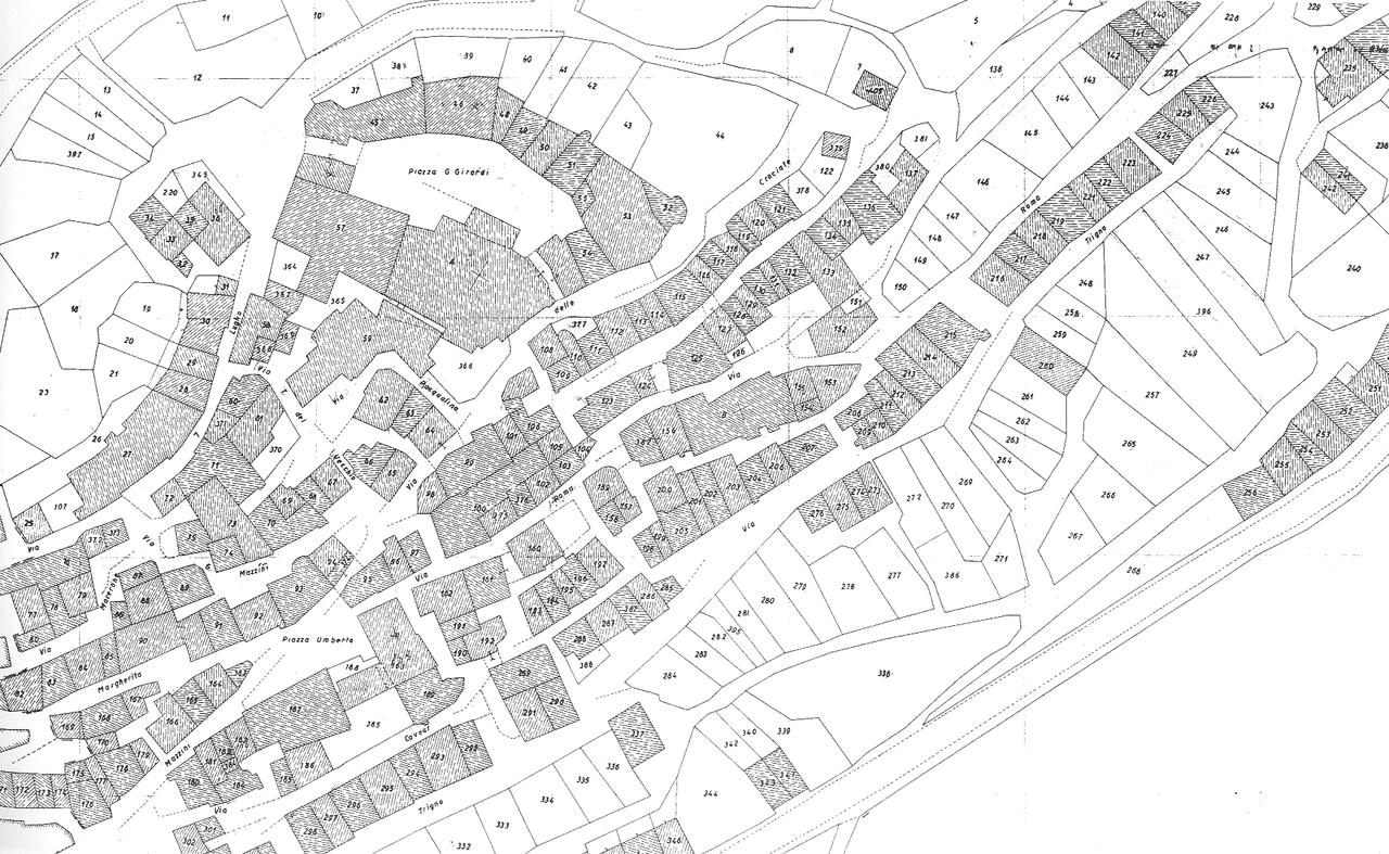
- INDIRIZZO Piazza Giusto Girardi, Vastogirardi (IS)
- TIPOLOGIA SCHEDA Architettura
-
CONDIZIONE GIURIDICA
proprietà privata
- CODICE DI CATALOGO NAZIONALE 1400074408
- ENTE COMPETENTE PER LA TUTELA Soprintendenza per i Beni Architettonici e Paesaggistici del Molise
- ENTE SCHEDATORE Soprintendenza per i Beni Architettonici e Paesaggistici del Molise
- DATA DI COMPILAZIONE 2001
-
DATA DI AGGIORNAMENTO
2018
-
DOCUMENTAZIONE GRAFICA
planimetria catastale (1)
planimetria catastale (2)
planimetria catastale (3)
- LICENZA METADATI CC-BY 4.0