Circolo del Leone sede società Contrada dell'Istrice
Siena,
- 1920
edificio su tre piani con struttura muraria in laterizio intonacatoe copertura di tipo tradizionale
- OGGETTO palazzina
- AMBITO CULTURALE Eclettismo
- LOCALIZZAZIONE Siena (SI) - Toscana , ITALIA
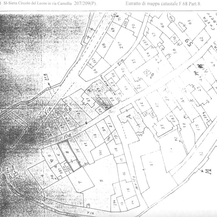
- INDIRIZZO Via Camollia, 207, 209(parte), Siena (SI)
- TIPOLOGIA SCHEDA Architettura
-
CONDIZIONE GIURIDICA
proprietà Ente pubblico non territoriale
- CODICE DI CATALOGO NAZIONALE 0900494091
- ENTE COMPETENTE PER LA TUTELA Soprintendenza Archeologia, belle arti e paesaggio per le province di Siena, Grosseto e Arezzo
- ENTE SCHEDATORE Soprintendenza per i Beni Architettonici e Paesaggistici per le province di Siena e Grosseto
- DATA DI COMPILAZIONE 1995
-
DATA DI AGGIORNAMENTO
2015
-
DOCUMENTAZIONE GRAFICA
catasto Leopoldino (1)
catasto Leopoldino (2)
- LICENZA METADATI CC-BY 4.0