angelo

disegno 1700-1799

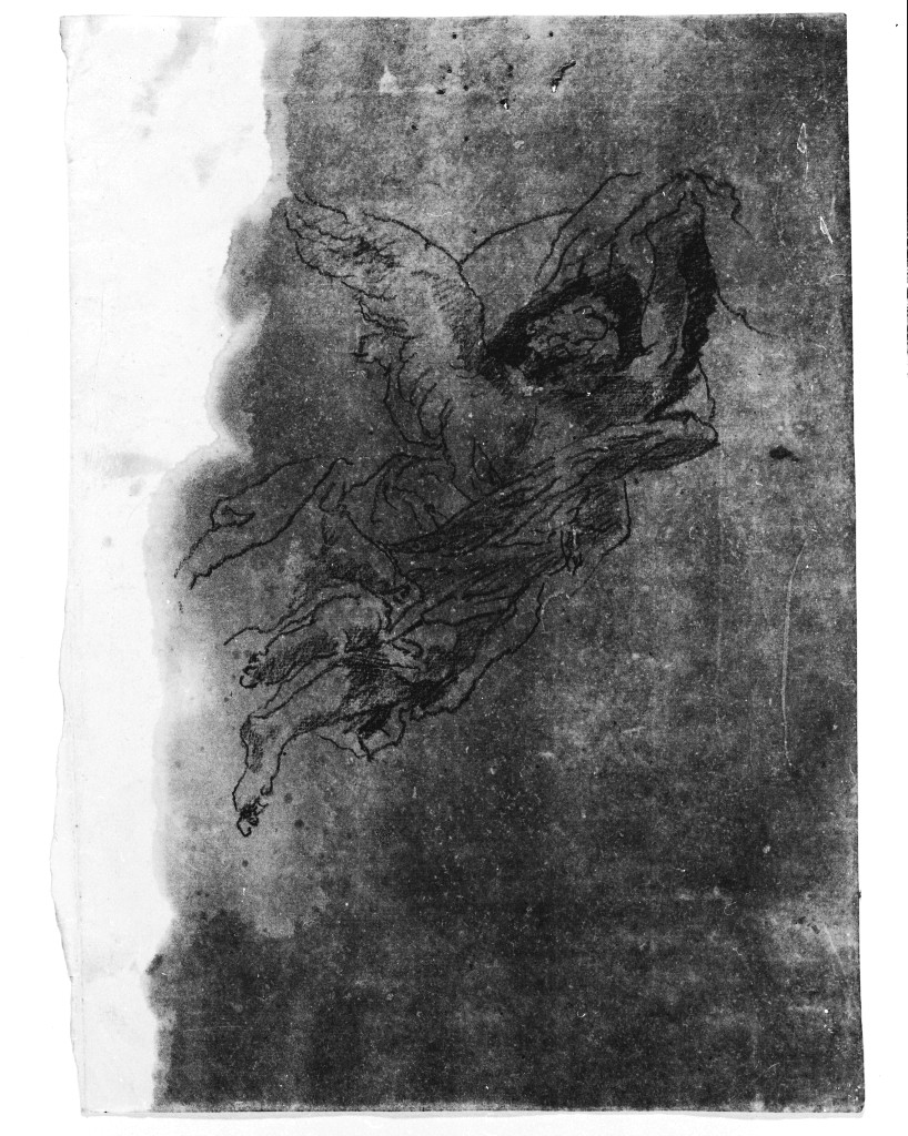
Figure: angelo in volo

  • OGGETTO disegno
  • MATERIA E TECNICA carta lucida/ matita
  • MISURE Altezza: 280 mm
    Larghezza: 198 mm
  • ATTRIBUZIONI Pittoni Giovanni Battista (bottega)
  • LUOGO DI CONSERVAZIONE Gallerie dell'Accademia
  • LOCALIZZAZIONE Gallerie dell'Accademia di Venezia
  • INDIRIZZO Dorsoduro, 1050/ Campo de la Carità, Venezia (VE)
  • NOTIZIE STORICO CRITICHE La carta appare oliata in larga misura, fatto che rende molto difficile la lettura del disegno e di conseguenza la certezza dell'autografia. Il soggetto, un angelo in volo, si ritrova in molte composizioni pittoriche di Giovan Battista Pittoni, secondo fattezze e atteggiamenti simili. Ancora una volta si tratta di un ricalco, dal segno meccanico e incerto, ripreso da una composizione pittoniana. Il soggetto, un angelo in volo, nella posizione dei piedi, della testa, delle ali si ritrova in molte composizioni pittoriche di Giovan Battista secondo fattezze e atteggiamenti simili, quali l'angelo in volo dipinto nel Martirio di sant'Orsola della chiesa di Sant'Orsola a Brescia (fig. 52)
  • TIPOLOGIA SCHEDA Disegni
  • CONDIZIONE GIURIDICA proprietà Stato
  • CODICE DI CATALOGO NAZIONALE 0500386833
  • NUMERO D'INVENTARIO 1579
  • ENTE COMPETENTE PER LA TUTELA Gallerie dell'Accademia di Venezia
  • ENTE SCHEDATORE Soprintendenza speciale per il Polo Museale Veneziano
  • DATA DI COMPILAZIONE 1998
  • DATA DI AGGIORNAMENTO 2006
  • LICENZA METADATI CC-BY 4.0

ALTRE OPERE DELLO STESSO AUTORE - Pittoni Giovanni Battista (bottega)

ALTRE OPERE DELLO STESSO PERIODO - 1700-1799

ALTRE OPERE DELLA STESSA CITTA'