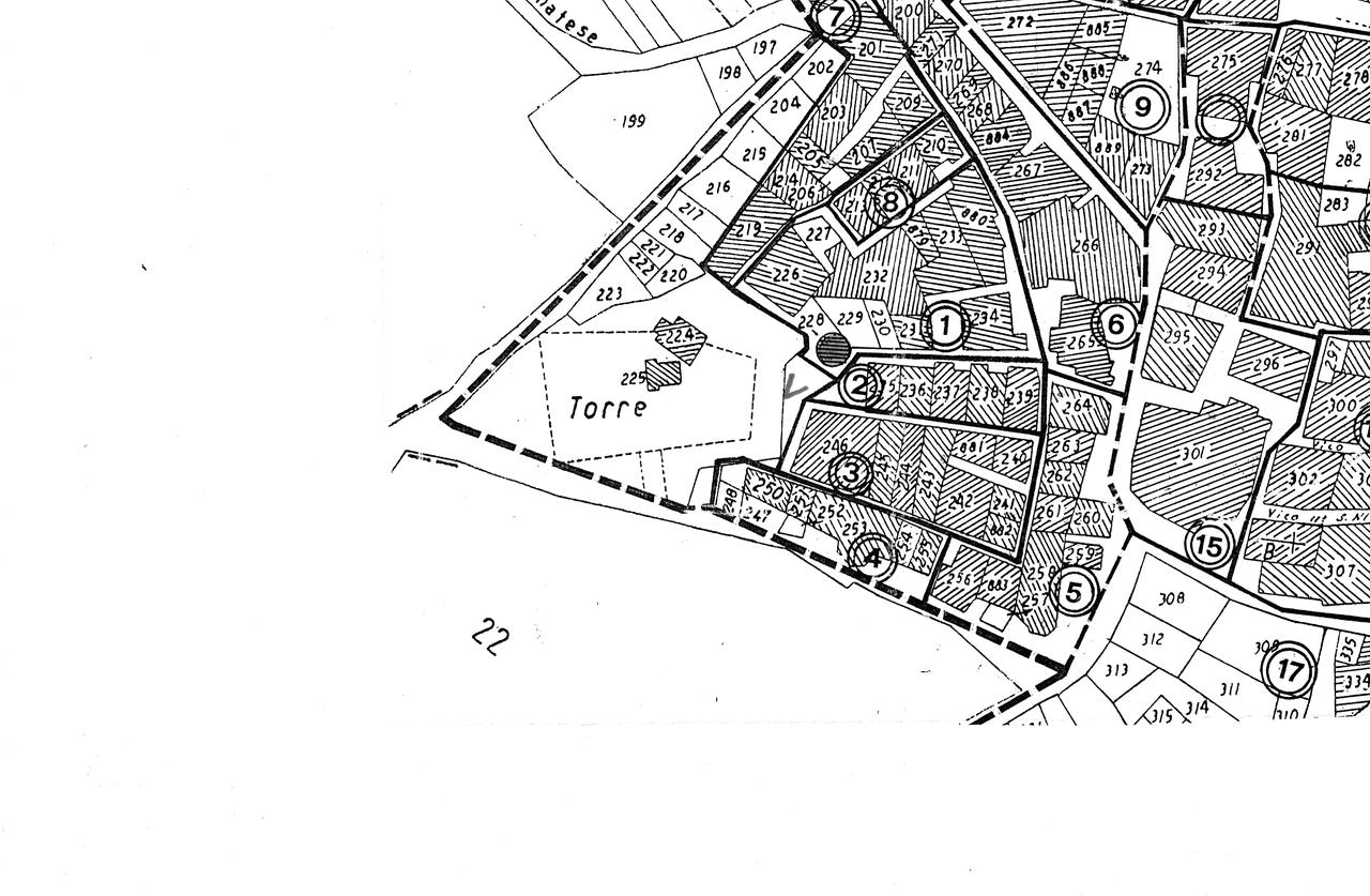
Torre La Rocca
Campochiaro,
post IX - ante XVI
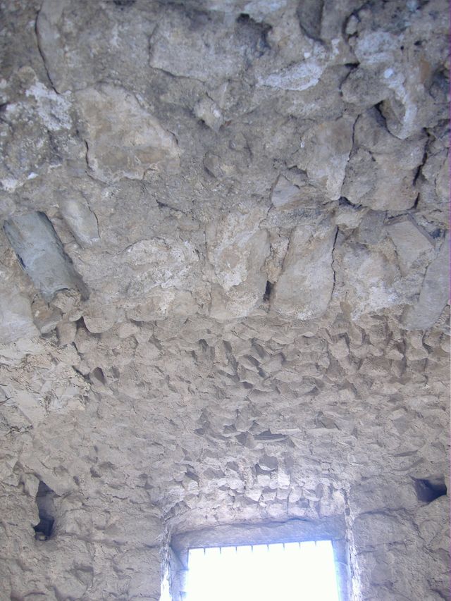
È un struttura cilindrica a pianta circolare, costruita con conci di pietra di piccole dimensioni; esternamente sono visibili dei travicelli, che con ogni probabilità servivano a sostenere delle travi in legno. Non ha mai avuto funzioni abitative, come i castelli, per le famiglie signorili. L'entrata è posta sul lato opposto alla scarpata, mentre due finestre, di cui una circolare, sono presenti sulla lato rivolto al paese
- OGGETTO torre-di controllo, difensiva
- AMBITO CULTURALE Maestranze Medioevali
- LOCALIZZAZIONE Campochiaro (CB) - Molise , ITALIA
- INDIRIZZO Largo Torre, Campochiaro (CB)
- TIPOLOGIA SCHEDA Architettura
-
CONDIZIONE GIURIDICA
proprietà Ente pubblico territoriale
- CODICE DI CATALOGO NAZIONALE 1400074864
- ENTE COMPETENTE PER LA TUTELA Soprintendenza per i Beni Architettonici e Paesaggistici del Molise
- ENTE SCHEDATORE Soprintendenza per i Beni Architettonici e Paesaggistici del Molise
- DATA DI COMPILAZIONE 1996
-
DATA DI AGGIORNAMENTO
2017
-
DOCUMENTAZIONE ALLEGATA
scheda di catalogo (1)
-
DOCUMENTAZIONE GRAFICA
planimetria catastale (1)
- LICENZA METADATI CC-BY 4.0