Palazzetto Cellesi
Siena,
fine XIII - prima metà-XIV
edificio su quattro piani fuori terra il prospetto principale è caratterizzato da due arcate a sesto acuto a piano terreno. Il paramento murario è in laterizio faccia vista e copertura a falde di tipo tradizionale
- OGGETTO casa in linea
- AMBITO CULTURALE Gotico
- LOCALIZZAZIONE Siena (SI) - Toscana , ITALIA
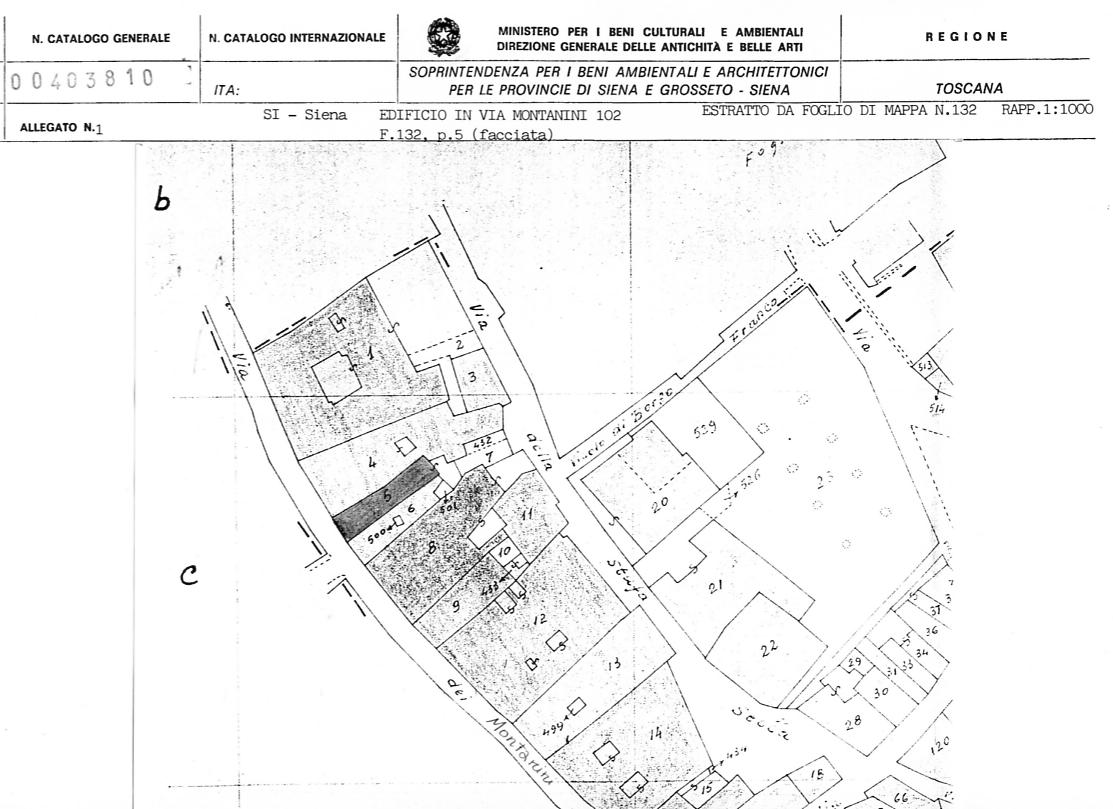
- INDIRIZZO via Montanini 102(P), Siena (SI)
- TIPOLOGIA SCHEDA Architettura
-
CONDIZIONE GIURIDICA
proprietà privata
- CODICE DI CATALOGO NAZIONALE 0900403810
- ENTE COMPETENTE PER LA TUTELA Soprintendenza Archeologia, belle arti e paesaggio per le province di Siena, Grosseto e Arezzo
- ENTE SCHEDATORE Soprintendenza per i Beni Architettonici e Paesaggistici per le province di Siena e Grosseto
- DATA DI COMPILAZIONE 1995
-
DOCUMENTAZIONE GRAFICA
mappa catastale (1)
- LICENZA METADATI CC-BY 4.0