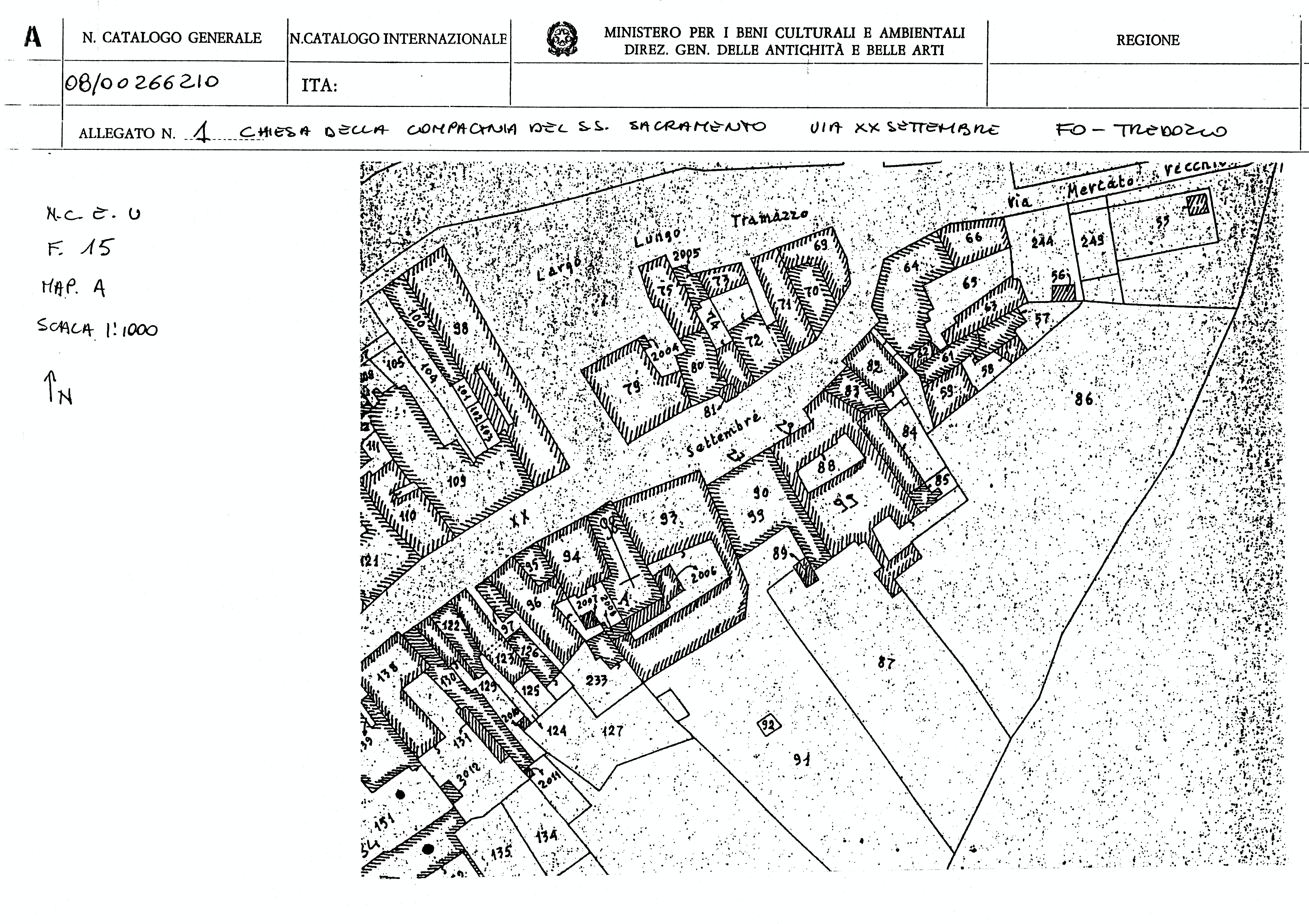
Chiesa della Compagnia del SS. Sacramento e B.V. delle Grazie
Tredozio,
1371/00/00 - 1939
Bramante (scuola)
1444/1514
- OGGETTO chiesa-parrocchiale
- AMBITO CULTURALE Scuola Del Bramante
-
ATTRIBUZIONI
Bramante (scuola): ampliamento
- LOCALIZZAZIONE Tredozio (FC) - Emilia Romagna , ITALIA
- INDIRIZZO Via XX Settembre, Tredozio (FC)
- TIPOLOGIA SCHEDA Architettura
-
CONDIZIONE GIURIDICA
proprietà Ente religioso cattolico
- CODICE DI CATALOGO NAZIONALE 0800266210-bene individuo
- ENTE COMPETENTE PER LA TUTELA Soprintendenza Archeologia, belle arti e paesaggio per le province di Ravenna, Forlì-Cesena e Rimini
- ENTE SCHEDATORE Soprintendenza per i Beni Architettonici e Paesaggistici per le province di Ravenna Ferrara Forli'-Cesena e Rimini
- DATA DI COMPILAZIONE 1997
-
DATA DI AGGIORNAMENTO
2017
-
DOCUMENTAZIONE ALLEGATA
scheda catalografica (1)
-
DOCUMENTAZIONE GRAFICA
riproduzione mappa catastale (1)
- LICENZA METADATI CC-BY 4.0