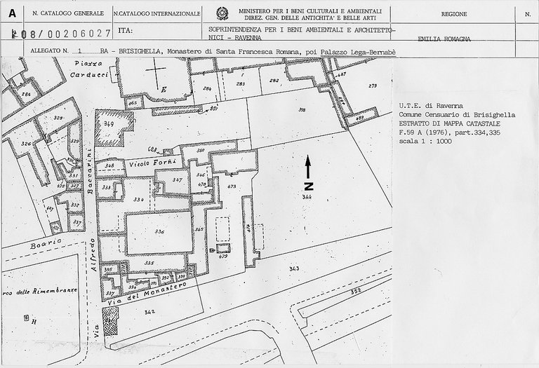
Monastero di S. Francesca Romana
Brisighella,
--
- OGGETTO palazzo / monastero
- LOCALIZZAZIONE Brisighella (RA) - Emilia Romagna , ITALIA
- TIPOLOGIA SCHEDA Architettura
-
CONDIZIONE GIURIDICA
- CODICE DI CATALOGO NAZIONALE 0800206027
- ENTE COMPETENTE PER LA TUTELA Soprintendenza Archeologia, belle arti e paesaggio per le province di Ravenna, Forlì-Cesena e Rimini
- ENTE SCHEDATORE Soprintendenza per i Beni Architettonici e Paesaggistici per le province di Ravenna Ferrara Forli'-Cesena e Rimini
- LICENZA METADATI CC-BY 4.0