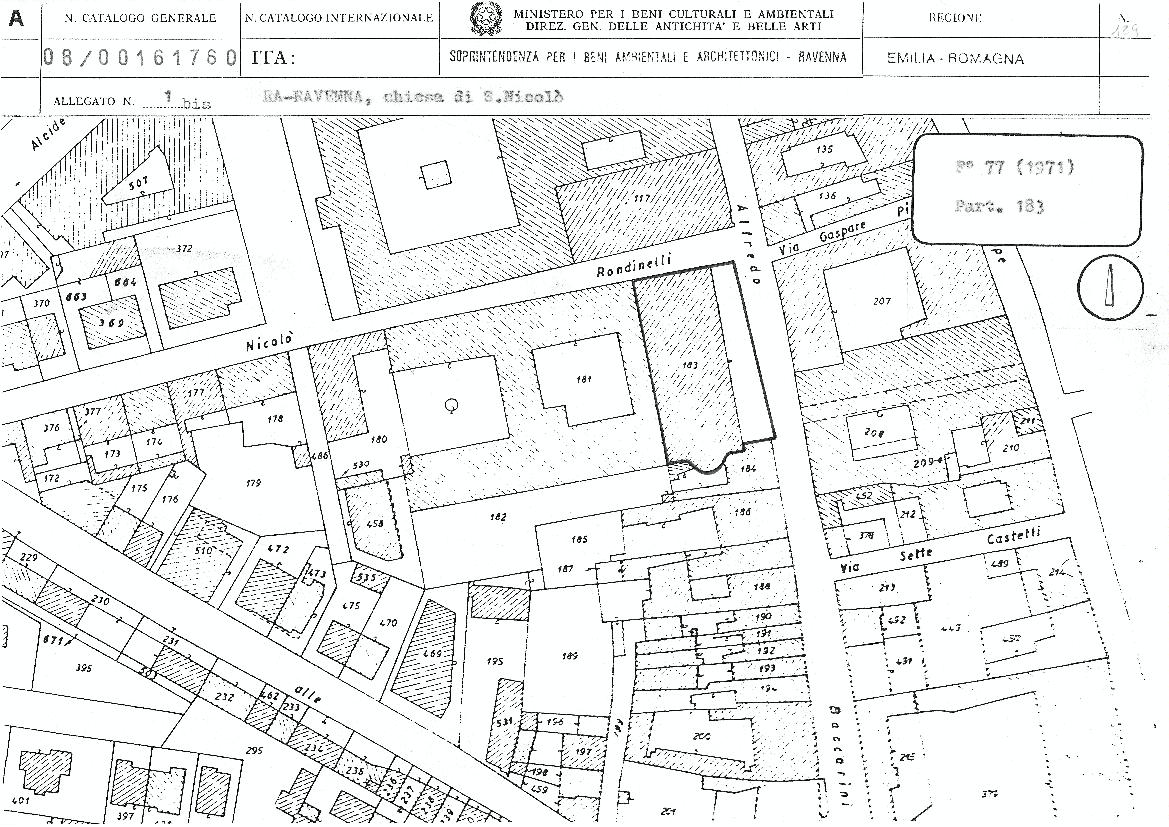
Ex Chiesa di San Nicolò
Ravenna,
XIV - XIV
- OGGETTO chiesa-sconsacrata
- AMBITO CULTURALE Epoca Medievale
- LOCALIZZAZIONE Ravenna (RA) - Emilia Romagna , ITALIA
- INDIRIZZO via Rondinelli, 0(P), Ravenna (RA)
- TIPOLOGIA SCHEDA Architettura
-
CONDIZIONE GIURIDICA
proprietà Stato
- CODICE DI CATALOGO NAZIONALE 0800161760
- ENTE COMPETENTE PER LA TUTELA Soprintendenza Archeologia, belle arti e paesaggio per le province di Ravenna, Forlì-Cesena e Rimini
- ENTE SCHEDATORE Soprintendenza per i Beni Architettonici e Paesaggistici per le province di Ravenna Ferrara Forli'-Cesena e Rimini
- DATA DI COMPILAZIONE 1993
-
DATA DI AGGIORNAMENTO
2012
-
DOCUMENTAZIONE ALLEGATA
scheda storica (1)
scheda storica (2)
-
DOCUMENTAZIONE GRAFICA
mappa catastale (1)
mappa catastale (2)
mappa catastale (3)
- LICENZA METADATI CC-BY 4.0