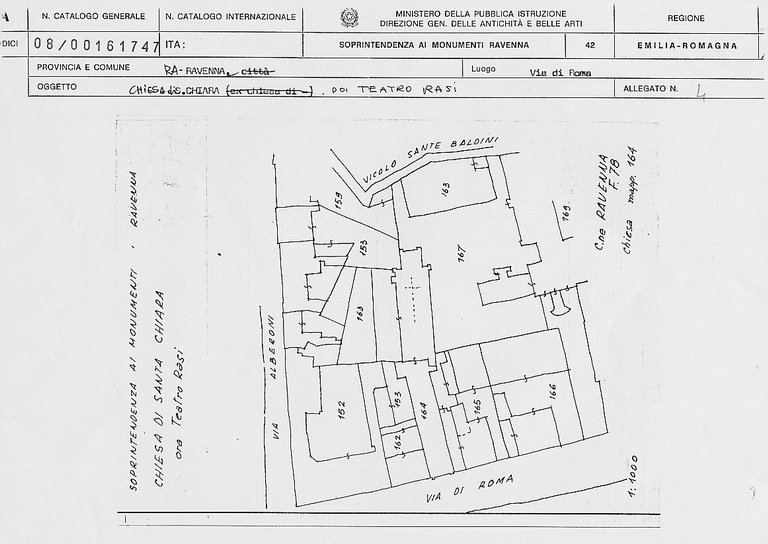
Chiesa di S. Chiara
Ravenna,
- 1793/00/00 ante
- OGGETTO chiesa
- AMBITO CULTURALE Epoca Medievale
- LOCALIZZAZIONE Ravenna (RA) - Emilia Romagna , ITALIA
- INDIRIZZO Via Di Roma, 0 (P), Ravenna (RA)
- TIPOLOGIA SCHEDA Architettura
-
CONDIZIONE GIURIDICA
proprietà Ente pubblico territoriale
- CODICE DI CATALOGO NAZIONALE 0800161747
- ENTE COMPETENTE PER LA TUTELA Soprintendenza Archeologia, belle arti e paesaggio per le province di Ravenna, Forlì-Cesena e Rimini
- ENTE SCHEDATORE Soprintendenza per i Beni Architettonici e Paesaggistici per le province di Ravenna Ferrara Forli'-Cesena e Rimini
- DATA DI COMPILAZIONE 1975
-
DATA DI AGGIORNAMENTO
2012
- LICENZA METADATI CC-BY 4.0